Uudet käyttö- ja sopimusehdot
Päivitämme käyttö- ja sopimusehtojamme. Uudet ehdot ovat voimassa 1.5.2025 alkaen. Tutustu ehtoihin
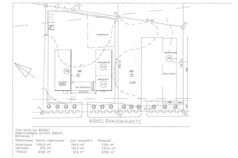
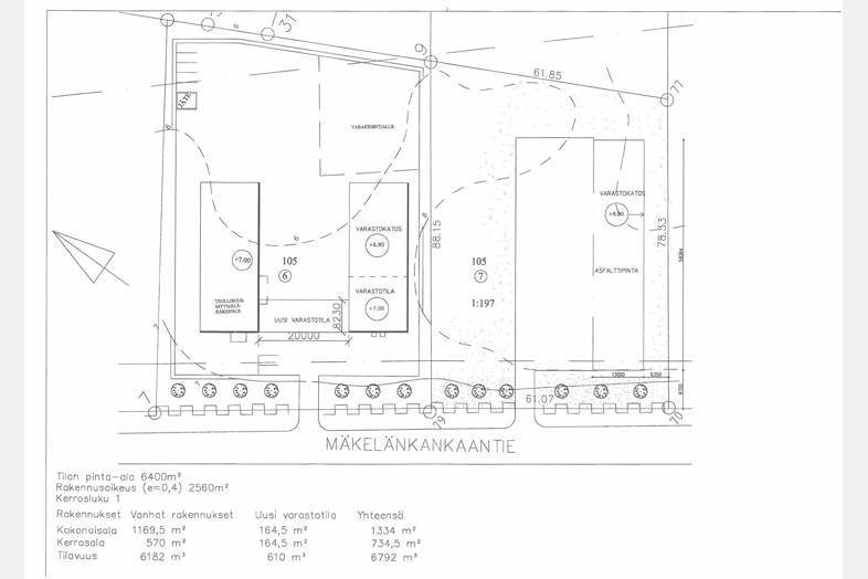
Mäkelänkankaantie 18 Neuvoton, Hamina
49490Tyyppi
Tuotantotila
Koko
2 415 m²
Kerros
1 / 1
Myyntihinta
390 000 €
Hyvällä logistisella paikalla hyväkuntoinen ja hoidettu hallirakennus jossa lisäksi reilusti kylmää varastotilaa kahdessa erirakennuksessa. Iso 1,4 ha:n aidattu ja ympäriajettava oma tontti Kotkan ja Haminan välissä, kaupallinen venesatama n. 2 km ym.
Vapautuu tarvittaessa nopeasti
Kiinnostuitko kohteesta?
Kysy lisätietoja, varaa oma esittelyaikasi !
toimisto@kymenasuntokeskus.fi
Perustiedot
Tyyppi:
Tuotantotila, Muu
Sopimustyyppi:
Myydään
Osoite:
Mäkelänkankaantie 18, 49490 Hamina
Kaupunginosa:
Neuvoton
Velaton hinta:
390 000 €
Myyntihinta:
390 000 €
Tilan koko
Kokonaispinta-ala:
2415 m²
Tilan jakautuminen tilatyyppien mukaan
| Tilatyypit | Min m² | Max m² | €/m²/kk |
|---|---|---|---|
| Tuotantotila | 1 334 | ||
| Muu | 1 081 |
Rakennustiedot
Kiinteistön nimi:
1
Rakennusvuosi:
2002
Lisätiedot
Kerros:
1 / 1
Kartta
Ota yhteyttä
Merisalo Mika
Kiinteistönvälittäjä, LKV
Näytä puhelinnumero
Näytä puhelinnumero
Lähetä yhteydenottopyyntö
Tietoa ilmoittajasta
Kymen Asuntokeskus Oy
Näytä kaikki saman ilmoittajan kohteetKymenlaaksonkatu 2
48100
Kotka




























