Uudet käyttö- ja sopimusehdot
Päivitämme käyttö- ja sopimusehtojamme. Uudet ehdot ovat voimassa 1.5.2025 alkaen. Tutustu ehtoihin
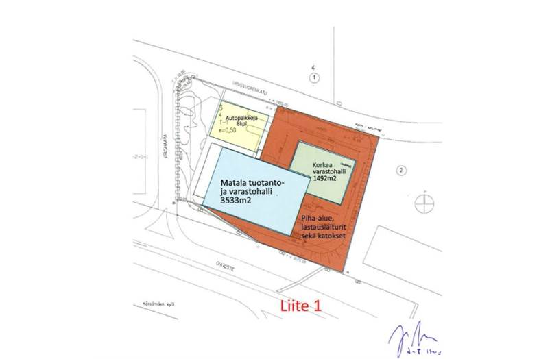
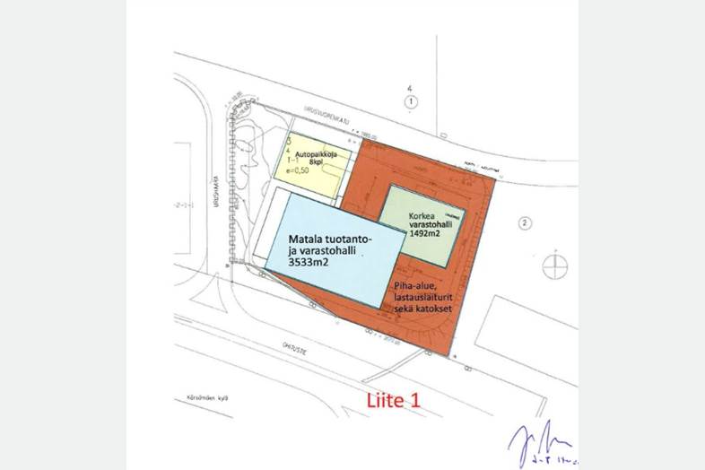
Urusvuorenkatu 3 Urusvuori, Turku
20360Tyyppi
Varastotila
Koko
5 025 m²
Vuokra
Kysy hintaa!
Perustiedot
Rakennustiedot
Linkit
Kartta
Ota yhteyttä
Lähetä yhteydenottopyyntö
Tietoa ilmoittajasta
Tuloskiinteistöt Oy, Turku
Näytä kaikki saman ilmoittajan kohteetKauppiaskatu 11 C 23
20100
Turku
Tuloskiinteistöt on Suomen vanhimpia ja perinteikkäimpiä kaupallisen kiinteistöalan asiantuntijayrityksiä. Tarjoamme kattavasti palveluita kiinteistöjen vuokrauksen, kaupankäynnin ja kiinteistöarviointien toimeksiannoissa, sekä tarjoamme kiinteistöliiketoiminnan konsultointipalveluita. Tuloskiinteistöt toimii koko maassa, ja teemme kauppoja ja vuokrauksia kaikkialla Suomessa. Meiltä löydät vapaat toimitilat yrityksenne kaikkiin tarpeisiin!
























































































































